Contrata luz y gas online, sin permanencia

Cartagena
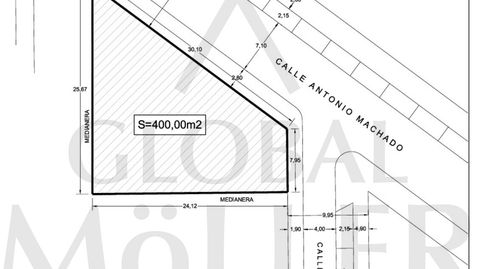
GLOBAL MÖLLER vende Suelo Urbano Directo en Cartagena, sito entre las Calles Gabriel Miró y Antonio Machado. En Esquina.
CARACTERISTICAS DEL SOLAR
De forma trapezoidal, se encuentra situado en el cruce de las Calles Gabriel Mistral y Antonio Machado de Cartagena, dentro de la trama urbana de la Unidad de Actuación N.º 5 de Barrio Peral Sur. Zona Mandarache, ubicación muy Céntrica.
En la actualidad, el terreno se encuentra libre de Edificaciones.
Dimensiones de la Parcela:
• 400m² de Superficie
• 37,63m longitud de fachada libre
Situación Urbanística:
Es de aplicación, el Plan General de Ordenación Urbana de Cartagena, Parcela 1.1, U. A. 5
Requisitos o Características que forman parte de este Plan a cumplir, para la Construcción de una Edificación:
• Suelo Urbano, Residencial Colectivo, con usos permitidos
• Calificación Vc3 (Grado 3º).
• Parcela mínima: 400m².
• Longitud fachada mínima, 16m.
• Uso principal, Residencial.
• Uso especifico, Garajes, en Planta Sótano.
• Uso permitido, Local Comercial en Planta Baja.
• Numero de plantas permitidas, plantas sobre rasante, 4.
• Altura máxima cornisa, 15.20m.
• Edificabilidad máxima, 1.516,55m²
• Fondo máximo, 13m.
Esta parcela permite el encaje de:
• 9 viviendas, con superficies construidas, incluyendo parte proporcional de zonas comunes de, 130m²-135m² aprox.
• 12 Plazas de Garaje y 9 Trasteros, ambos ubicados en Planta Sótano,
• Local Comercial, sito en Planta Baja, de más de 300m².
Para ampliar información acerca de esta parcela urbana y de una posible Edificación, contacte con GLOBAL MÖLLER Inmobiliaria.
Ref. 202617
Tipo de inmueble
Tipo de interés
Cuota mensual estimada
875 €
Servicio ofrecido por
Fotocasa no actúa como intermediario financiero. La información proporcionada tiene carácter orientativo, basándose en información pública en el mercado. Será la entidad de crédito quién contacte con el potencial prestatario para negociar, facilitar y pactar las condiciones financieras aplicables.
Desglose de la hipoteca
Tu cuota mensual
875 € *
Durante 30 años (360 cuotas)
Precio del inmueble:
250.000 €
Impuestos y gastos de la compra:
21.446 €
Coste total del inmueble:
271.446 €
Ahorro aportado:
50.000 €
Importe de la hipoteca:
221.446 €
Intereses totales:
93.547 €
Coste total con hipoteca
364.993 €
Capital + intereses + impuestos y gastos
Fotocasa no actúa como intermediario financiero. La información proporcionada tiene carácter orientativo, basándose en información pública en el mercado. Será la entidad de crédito quién contacte con el potencial prestatario para negociar, facilitar y pactar las condiciones financieras aplicables.
Contrata luz y gas online, sin permanencia

Elige la Fibra que mejor se adapte a ti.

Cuéntanos qué has visto para poder corregirlo.