Connecta la teva llar
Tria la Fibra que millor s'adapti a tu.
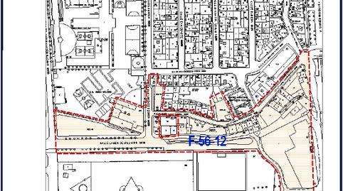
Zaragoza Capital
Parcela incluida en el área de intervención F-56-12 del PGOUZ, barrio de Oliver-Miralbueno de Zaragoza, de iniciativa privada para su desarrollo mediante sistema de gestión urbanística de compensación.
El desarrollo del sector cuenta con:
- Aprobación definitiva del Plan Especial de Reforma Interior a 30/05/2008.
- Aprobación definitiva Constitución, Bases y Estatutos de la Junta de Compensación a 03/03/2009.
- Pendiente de iniciar el Proyecto de Reparcelación.
- Pendiente de iniciar el Proyecto de Urbanización.
- Obras de urbanización pendientes de iniciar.
La finca registral disponible con parcela catastral 2431952XM7123B0001FB, es suelo incluido en el ámbito del Área de Intervención F-56-12 del PGOUZ que cuenta aprobación definitiva del instrumento de ordenación mediante Plan Especial.
Se trata pues de un suelo urbano no consolidado que le corresponde una participación del 8,65% en el sector.
Está pendiente el resto de gestión urbanística de desarrollo y transformación.
Tipus d'immoble
Tipus d'interès
Quota mensual estimada
1.479 € *
* Provisional subjecte a estudi i oferta de CaixaBank
Ja estàs buscant finançament?
T'ajudem a trobar l'opció que millor s'adapta a tu.
Servei ofert per
Fotocasa no actua com a intermediari financer. La informació proporcionada té caràcter orientatiu, basant-se en informació pública al mercat. Serà l'entitat de crèdit qui contacti amb el potencial prestatari per negociar, facilitar i pactar les condicions financeres aplicables.
La teva quota mensual
1.479 € *
Durant 30 anys (360 quotes)
* Provisional subjecte a estudi i oferta de CaixaBank
Preu de l'immoble:
423.000 €
Impostos i despeses:
36.039 €
Cost total de l'immoble:
459.039 €
Estalvi aportat:
84.600 €
Import de la hipoteca:
374.439 €
Interessos totals:
158.176 €
Cost total amb hipoteca
617.215 €
Capital + interessos + impostos i despeses
Ja estàs buscant finançament?
T'ajudem a trobar l'opció que millor s'adapta a tu.
Servei ofert per
Fotocasa no actua com a intermediari financer. La informació proporcionada té caràcter orientatiu, basant-se en informació pública al mercat. Serà l'entitat de crèdit qui contacti amb el potencial prestatari per negociar, facilitar i pactar les condicions financeres aplicables.
Tria la Fibra que millor s'adapti a tu.
Contracta llum i gas online, sense permanència.
Explica'ns què hi has vist per poder corregir-ho.