Residential in SAN ANTONIO, 102, Breña Baja
Breña Baja
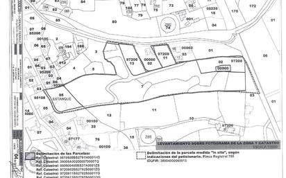
Ubicada en la pintoresca localidad de Breña Baja, en la isla de La Palma, dentro del municipio de Breña Baja en Santa Cruz de Tenerife, esta finca rústica ofrece una oportunidad excepcional para aquellos que buscan un lugar único y versátil. Características Principales: - Superficie Total: Aproximadamente 31,000 m2 - Sección Construida (Tanque y Cuarto de Aperos en Ruina): 443,47 m2 - Sección Asentamiento Rural (Edificable al 30%): 3,127 m2 - Sección Urbana (Edificable): 2,186 m2 (1312 m2 edificables) - Sección Rústica Plátano: 11,607 m2 (Producción anual de aproximadamente 3,5 Fanegadas al año) - Sección Rústica Aguacate: 6,687 m2 (Producción anual de aproximadamente 0,5 Fanegadas al año) - Sección Rústica Restante: 8,818 m2 Características Adicionales: - Vistas Espectaculares:*Disfrute de impresionantes vistas al Océano Atlántico desde la propiedad. - Proximidad al Aeropuerto: La finca se encuentra en las proximidades del aeropuerto, facilitando el acceso y conectividad. Esta finca ofrece una combinación única de secciones construidas, edificables y rústicas, lo que la convierte en una oportunidad versátil para diversos proyectos, ya sea para la construcción de viviendas, desarrollo agrícola o actividades relacionadas con el turismo rural. No pierda la oportunidad de adquirir esta propiedad única que combina la tranquilidad de la vida rural con la conveniencia de estar cerca del aeropuerto y con acceso a las maravillas naturales de La Palma. Para más información o para programar una visita, no dude en ponerse en contacto con nosotros. ¡Esta finca es la inversión perfecta para su futuro!. Este inmueble está en modalidad de GESTION INTEGRAL DE VENTA. Somos miembros de ACEGI (Asociación Canaria de Empresas de Gestión Inmobiliaria), colaboramos con cualquier inmobiliaria o asesor inmobiliario que tenga un cliente comprador. Datos meramente informativos sin valor contractual, impuestos y gastos de transmisión no incluidos. El PVP indicado no incluye impuestos ni gastos de escritura. Las superficies expresadas en esta página tienen carácter descriptivo y son aproximados. Los precios son susceptibles de modificación sin previo aviso. Esta vivienda se vende con muebles.
- 31000 m²