Contrata luz y gas online, sin permanencia
- 1680 m²
- 1680 m² terreno
Residencial en venta en Vega de la Selva, Alcalá de la Selva
Alcalá de la Selva
NO COBRAMOS COMISIÓN DE INTERMEDIACIÓN AL COMPRADOR
¡Desarrolla tu proyecto en pleno entorno natural!
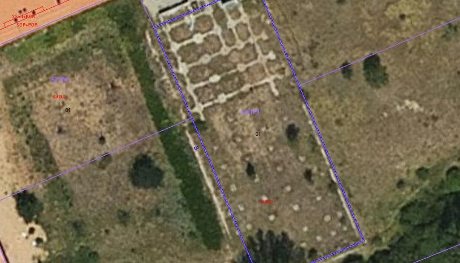
Presentamos este suelo urbano de uso residencial ubicado en Alcalá de la Selva, en la provincia de Teruel, una de las localidades más atractivas de la Sierra de Gúdar por su entorno natural.
Características del suelo:
-Superficie de suelo: 1.680m².
-Uso predominante: Residencial en edificación plurifamiliar..
-Edificabilidad máxima: 3.528m².
-Estimación de construcción: 32 vivienda y se asumen 25m2 por plaza de garaje y 5m2 por trastero para cada vivienda.
-Referencia catastral: 6417901XK9761N0001QL.
El suelo ofrece una excelente oportunidad para desarrollar viviendas unifamiliares aisladas, pareadas o adosadas, según normativa urbanística vigente. Su clasificación como suelo urbano permite plantear un proyecto residencial con seguridad jurídica y mayor agilidad en la gestión. La configuración del terreno posibilita diseñar viviendas que prioricen orientación, vistas y aprovechamiento del entorno, incorporando terrazas, porches, jardines privados o zonas comunes ajardinadas.
Ubicado en entorno consolidado dentro del núcleo urbano, el suelo se encuentra próximo a servicios básicos, restauración y comercios locales. Alcalá de la Selva cuenta con excelente acceso por carretera y se sitúa a poca distancia de Valdelinares y otras zonas naturales de gran atractivo, lo que incrementa el valor estratégico del proyecto.
Hipoges es una plataforma inmobiliaria donde podrás acceder a miles de activos inmobiliarios de diferentes tipos como viviendas, locales comerciales, terrenos, nueva obra, tanto a nivel particular como para inversores. Hipoges cuenta con una amplia cartera de activos inmuebles tanto en España como en Portugal y Grecia.
¿Necesitas financiación? Te ofrecemos la posibilidad de financiaciones de hasta el 100% para la compra de este inmueble. Entra en Finanwin.com, haz tu simulación y obtén la mejor oferta para tu Hipoteca de la manera más ágil y sencilla.
Características
Tipo de inmueble
Residencial
Tipo de interés
Cuota mensual estimada
964 €
Servicio ofrecido por
Fotocasa no actúa como intermediario financiero. La información proporcionada tiene carácter orientativo, basándose en información pública en el mercado. Será la entidad de crédito quién contacte con el potencial prestatario para negociar, facilitar y pactar las condiciones financieras aplicables.
Desglose de la hipoteca
Tu cuota mensual
964 € *
Durante 30 años (360 cuotas)
Precio del inmueble:
275.000 €
Impuestos y gastos de la compra:
24.071 €
Coste total del inmueble:
299.071 €
Ahorro aportado:
55.000 €
Importe de la hipoteca:
244.071 €
Intereses totales:
103.104 €
Coste total con hipoteca
402.175 €
Capital + intereses + impuestos y gastos
Fotocasa no actúa como intermediario financiero. La información proporcionada tiene carácter orientativo, basándose en información pública en el mercado. Será la entidad de crédito quién contacte con el potencial prestatario para negociar, facilitar y pactar las condiciones financieras aplicables.
Elige la Fibra que mejor se adapte a ti.