Contrata luz y gas online, sin permanencia
- 553 sqm
- 553 sqm terrain
Residential for sale in Crevillet
El Puerto de Santa María
Oportunidad de inversión en uno de los municipios con mayor demanda residencial de la provincia de Cádiz: El Puerto de Santa María. Este activo corresponde a un suelo urbano consolidado, lo que permite un desarrollo prácticamente inmediato, sin incertidumbres urbanísticas ni procesos de gestión complejos.
Ubicado en Calle Manuel Díaz Domínguez 19, dentro del ámbito ARIT 03 “Gaonera”, se trata de una propuesta ideal para promotores que buscan un proyecto de rápida rotación con producto muy demandado.
📍 Ubicación y Entorno
🏠 calle Manuel Díaz Domínguez 19
📍a href="https://maps.app.goo.gl/MiEUovJ3KEcB7ZVe8"bSituación en Google Maps ⏩/b/a
🖥️ Referencia catastral: 7339719QA4573G
El activo se sitúa en una zona consolidada dentro del núcleo urbano, con acceso inmediato a:
- Centro histórico y zonas comerciales
- Servicios esenciales: colegios, supermercados, transporte
- Playas y áreas turísticas de alto atractivo
- Conexión directa con Cádiz, Jerez y Bahía de Cádiz
👉 Zona con alta demanda de vivienda habitual y creciente interés inversor para alquiler residencial y segunda residencia.
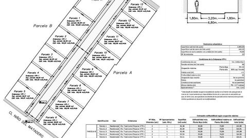
📐 Características Urbanísticas
- Clasificación: Suelo Urbano Consolidado
- Superficie de suelo: 1.805,50 m2s
- Edificabilidad total: 2.120,20 m2t
- Número de viviendas: 13
- Uso: Residencial
- Tipología: Vivienda Tradicional Popular (VTP-1)
- Altura máxima: PB + 1 (2 plantas / 7 metros)
🧩 Ordenación del Desarrollo
El planeamiento permite una promoción estructurada en dos parcelas lucrativas:
🔹 Parcela 1
Superficie: 720 m2
Edificabilidad: 1.056 m2t
Nº viviendas: 8
🔹 Parcela 2
Superficie: 450,65 m2
Edificabilidad: 650 m2t
Nº viviendas: 5
👉 Producto ideal para desarrollo de vivienda tradicional andaluza, altamente demandada en la zona.
⚙️ Ventajas Urbanísticas Clave
✔️ Suelo urbano consolidado → desarrollo directo
✔️ Propiedad única → no requiere Junta de Compensación
✔️ Ordenación definida → seguridad jurídica total
✔️ Alineación a vial y normativa clara
✔️ Alta ocupación permitida (hasta 80%-100% según parcela)
👉 Reducción significativa de plazos y costes indirectos
💰 Análisis de Inversión
Precio: 811.000 €
Edificabilidad: 2.120,20 m2t
👉 Repercusión estimada:
≈ 382 €/m2t
📊 Claves para el Promotor
✔️ Proyecto listo para desarrollar a corto plazo
✔️ Ubicación consolidada con demanda real
✔️ Producto alineado con tipología local
✔️ Escasa competencia de obra nueva en el entorno
✔️ Alta liquidez en venta y alquiler
🚀 Estrategia Recomendada
Activo ideal para:
- Promoción de viviendas para venta (primera residencia)
- Desarrollo de producto para alquiler tradicional
- Inversión con rotación rápida y bajo riesgo urbanístico
👉 Perfecto para promotores que priorizan seguridad, agilidad y mercado activo
📞 Solicite más información o agende su visita sin compromiso
Para ampliar detalles sobre este inmueble, resolver cualquier duda o concertar una visita personalizada, puede contactarme directamente:
📲 Teléfono / WhatsApp: +34 652 86 32 74
📩 Email: mreyes@ikesa.es
Estaré encantado/a de atenderle de forma directa y personalizada.
🏡 0% Comisión para el Comprador
VISÍTELO SIN COMPROMISO.
En Ikesa Real Estate trabajamos con total transparencia:
👉 No cobramos comisión al comprador en este tipo de activos.
Ikesa informa expresamente que no aplica comisión de ningún tipo en inmuebles procedentes de Entidades Financieras, Fondos de Inversión y promociones de Obra Nueva, lo que supone un ahorro directo y significativo en su compra.
🔐 Garantía y confianza
Ikesa es agencia homologada de diversas Entidades Financieras, lo que nos permite ofrecer:
✔️ Amplia cartera de activos inmobiliarios
✔️ Acceso prioritario a oportunidades bancarias
✔️ Asesoramiento profesional durante todo el proceso de compra
✔️ Seguridad jurídica y transparencia en cada operación
Disponemos de una de las mayores ofertas inmobiliarias a nivel nacional
More filters
Property type
Residential
Interest type
Estimated monthly payment
2.766 €
Service offered by
Fotocasa does not act as a financial intermediary. The information provided is for guidance only, based on publicly available market information. The credit institution will contact the potential borrower to negotiate, facilitate, and agree upon the applicable financial conditions.
Mortgage breakdown
Your monthly payment
2.766 € *
For 30 years (360 payments)
Property price:
811.000 €
Taxes and purchase expenses:
51.157 €
Total property cost:
862.157 €
Savings contributed:
162.200 €
Mortgage amount:
699.957 €
Total interest:
295.687 €
Total cost with mortgage
1.157.844 €
Principal + interest + taxes and fees
Fotocasa does not act as a financial intermediary. The information provided is for guidance only, based on publicly available market information. The credit institution will contact the potential borrower to negotiate, facilitate, and agree upon the applicable financial conditions.
Elige la Fibra que mejor se adapte a ti.