Contrata luz y gas online, sin permanencia
- 51353 m²
- 51353 m² Gelände
Residential zum Verkauf in Calle Panorama2-4, Simancas
Simancas
NO COBRAMOS COMISIÓN DE INTERMEDIACIÓN AL COMPRADOR
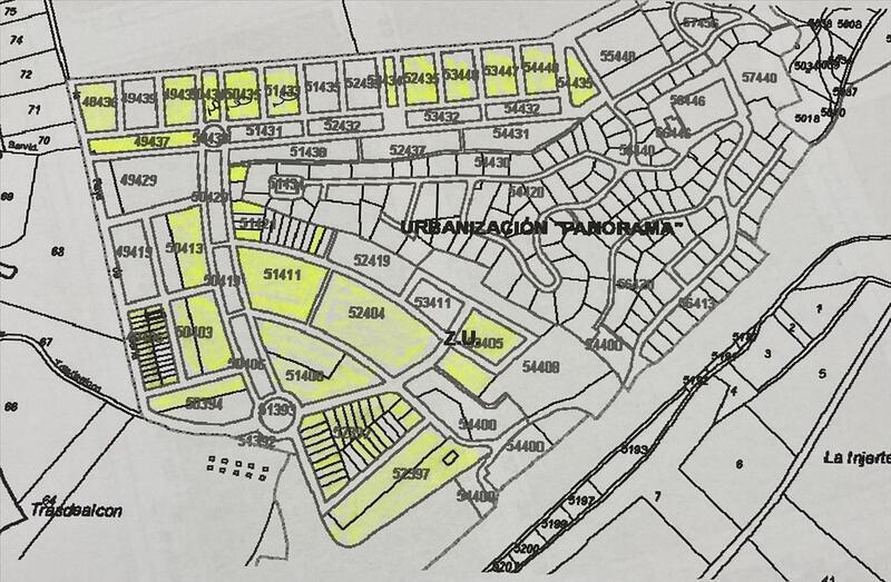
Excelente oportunidad de adquirir estos 80 suelos urbanizables ubicados en la localidad de Simancas (Valladolid).
Se considera como costes de urbanización los que constan en el Proyecto de actuación 5.943.668,20€ por el coeficiente de participación 29,30 % de las fincas que constan en la documentación registral pendiente de finalización de las obras de urbanización cuantificadas 1.607.049,02 €. Todos los suelos están en un rango de superficies entre 134,00m² y 10.525,40m². Se plantea hacer viviendas unifamiliares pareadas y aisladas de una superficie media de 250 m² por vivienda.
- Edificabilidad: 25.122,22 m²
- Número de viviendas: 161 ud.
- Número de plantas: 2 plantas.
- Altura máxima: 7 m.
- Número de garajes obligatorios: 1 ud.
- Referencia catastral: 5041302UM4054S0001AH
Muy bien comunicado por carretera como la A-62 a 20 minutos del centro de Valladolid, lo que facilita los desplazamientos a distintos puntos de la región o del país. Próximo a la Autovía A-62. Esta histórica localidad ofrece a sus residentes un entorno tranquilo, un rico patrimonio cultural y una serie de ventajas que hacen que vivir en Simancas sea una experiencia única. La villa ofrece un ritmo de vida relajado, lo que permite a los residentes disfrutar de una mayor calma y bienestar. Además, la comunidad local es cercana y acogedora, lo que facilita la integración de los nuevos residentes y crea un ambiente amigable y familiar. Dispone todos los servicios públicos o privados necesarios como pequeño comercio de proximidad, piscina municipal, hoteles, cafeterías, campo de golf y farmacias.
Hipoges es una plataforma inmobiliaria donde podrás acceder a miles de activos inmobiliarios de diferentes tipos como viviendas, locales comerciales, terrenos, nueva obra, tanto a nivel particular como para inversores. Hipoges cuenta con una amplia cartera de activos inmuebles tanto en España como en Portugal y Grecia.
¿Necesitas financiación? Te ofrecemos la posibilidad de financiaciones de hasta el 100% para la compra de este inmueble. Entra en Finanwin.com, haz tu simulación y obtén la mejor oferta para tu Hipoteca de la manera más ágil y sencilla.
Eigenschaften
Immobilientyp
Wohnimmobilie
Zinsart
Geschätzte monatliche Rate
3.007 €
Dienstleistung angeboten von
Fotocasa agiert nicht als Finanzvermittler. Die bereitgestellten Informationen dienen lediglich der Orientierung und basieren auf öffentlich zugänglichen Marktinformationen. Das Kreditinstitut wird den potenziellen Kreditnehmer kontaktieren, um die anwendbaren finanziellen Bedingungen zu verhandeln, zu erleichtern und zu vereinbaren.
Hypothekenaufschlüsselung
Ihre monatliche Rate
3.007 € *
Für 30 Jahre (360 Raten)
Immobilienpreis:
862.000 €
Steuern und Kaufnebenkosten:
71.457 €
Gesamtkosten der Immobilie:
933.457 €
Eingebrachte Ersparnisse:
172.400 €
Hypothekenbetrag:
761.057 €
Gesamtzinsen:
321.497 €
Gesamtkosten mit Hypothek
1.254.954 €
Kapital + Zinsen + Steuern und Kosten
Fotocasa agiert nicht als Finanzvermittler. Die bereitgestellten Informationen dienen lediglich der Orientierung und basieren auf öffentlich zugänglichen Marktinformationen. Das Kreditinstitut wird den potenziellen Kreditnehmer kontaktieren, um die anwendbaren finanziellen Bedingungen zu verhandeln, zu erleichtern und zu vereinbaren.
Elige la Fibra que mejor se adapte a ti.